About 438 Leeville Pike
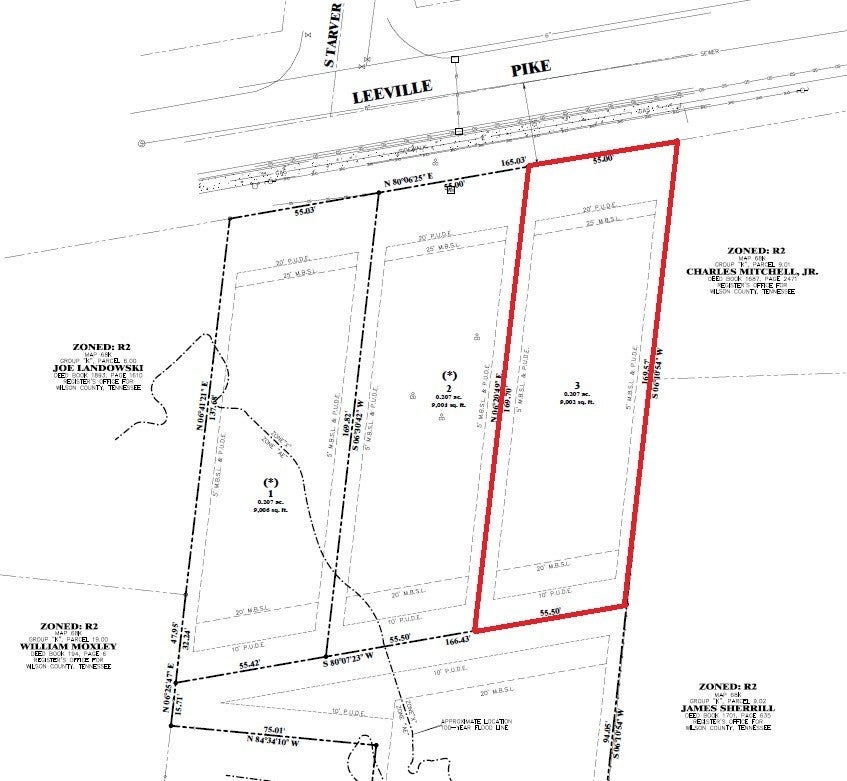
Lot 3 available of the CRV Holdings Subdivision available for sale. Lot 3 is not a critical lot and is not in a flood zone. The zoning is R2, which allows for 2 units per lot ($75,000 per unit). All City of Lebanon capacity fees have been paid for by the seller. Buyer can build a single home or a duplex per lot. Lot 4 has previously sold to a builder that is currently constructing a Triplex. The plat and a concept plan are in the Documents section. Lots 1 and 2 can also be purchased. these lots are noted as critical lots on the recorded Plat.
Features of 438 Leeville Pike
| MLS® # | 2969491 |
|---|---|
| Price | $150,000 |
| Bathrooms | 0.00 |
| Acres | 0.64 |
| Type | Land |
| Status | Active |
Community Information
| Address | 438 Leeville Pike |
|---|---|
| Subdivision | CRV Holdings |
| City | Lebanon |
| County | Wilson County, TN |
| State | TN |
| Zip Code | 37087 |
Amenities
| Utilities | Water Available |
|---|---|
| Is Waterfront | No |
| Has Pool | No |
Interior
| Fireplace | No |
|---|
Exterior
| Lot Description | Cleared, Sloped |
|---|
School Information
| Elementary | Byars Dowdy Elementary |
|---|---|
| Middle | Winfree Bryant Middle School |
| High | Lebanon High School |
Additional Information
| Date Listed | August 5th, 2025 |
|---|---|
| Days on Market | 74 |
| Zoning | R2 |
| Foreclosure | No |
| Short Sale | No |
Listing Details
| Office | Agee & Johnson Realty & Auction, Inc |
|---|
